Kumano Shrine Forest
An ancient forest restoring paths to personal happiness.


0
Trees
0
Square Meters
0
Native Species
0
Youth Impacted
Self sustaining pocket forest
Planted in October 2021, Kumano Shrine has transformed from an open, sparse area into a vibrant, self-sustaining ecosystem. Originally, the site had only bare earth, leaf litter, and patches of exposed soil. While several mature trees stood, the area showed minimal signs of life.
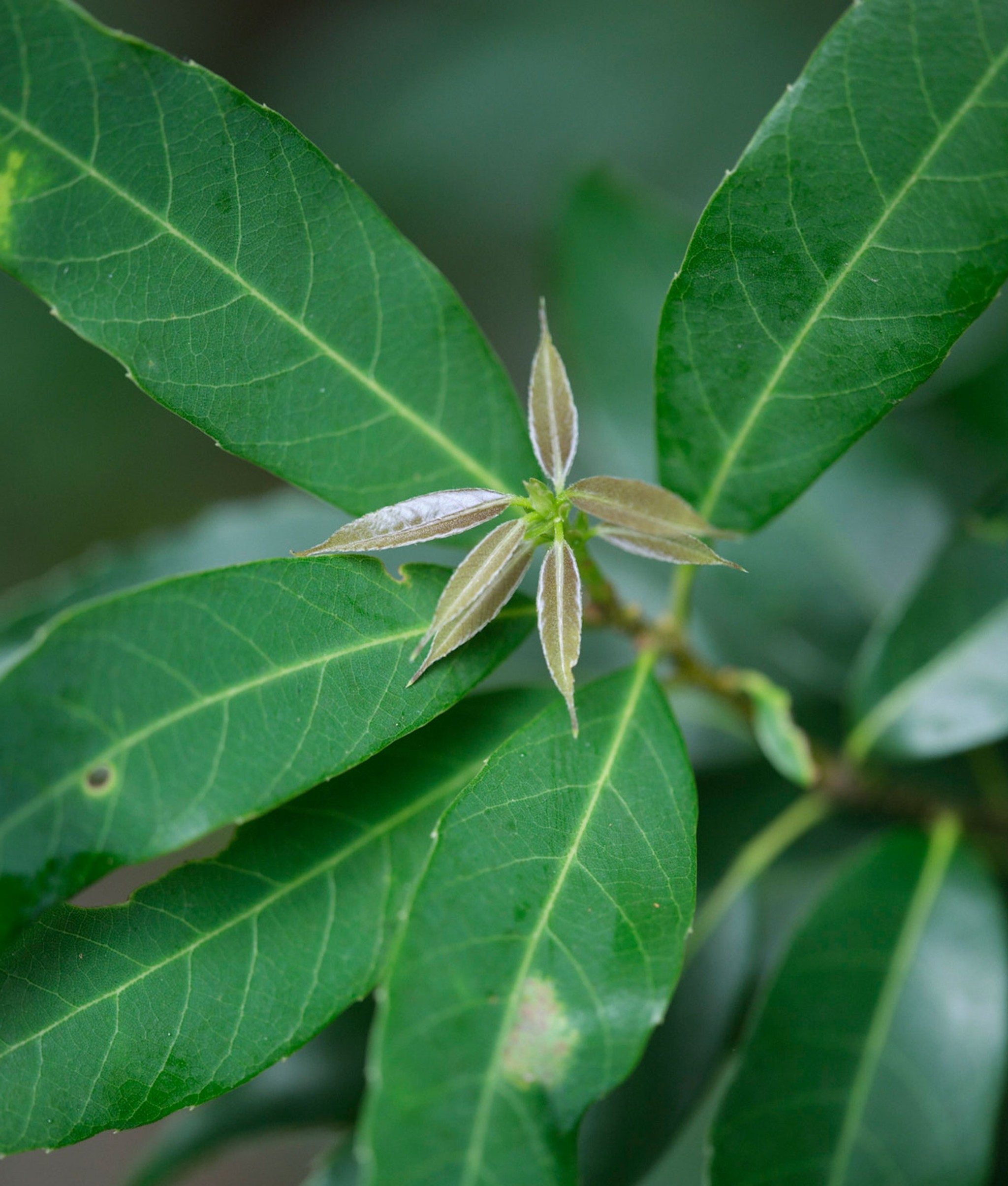
However, the forest has since revitalized this area. Despite initial challenges with slow growth due to shading from mature trees, the forest now thrives. Diverse plant species, like the Japanese bay tree (Machilus thunbergii) and itajii (Castanopsis sieboldii), play a crucial role in supporting local biodiversity, serving as a sanctuary for native flora and fauna. The soil - now soft and healthy - teems with earthworms, mushrooms, and a variety of insects, such as shield bugs and spiders.
Forest Partner



Ecosystem Restored
Final report: 18.12.2024
After approximately three years our SUGi Pocket Forests become self-sustaining. They no longer require human maintenance or watering, and can be handed over to Nature for biodiversity and complexity to naturally develop.
0%
Survival Rate
0
People living within 300 meters
0
kg of potential CO2 sequestration
Biodiversity
Biodiversity is all the different kinds of life you'll find in one area—the variety of animals, plants, fungi, and even microorganisms like bacteria that make up our natural world. Each of these species and organisms work together in ecosystems, like an intricate web, to maintain balance and support life.
0
Potential number of mammals
0
Potential number of birds
0
Potential number of amphibians
Forest Report: 2023
0 Years
Forest Age
0%
Survival Rate
0cm
Average of Tallest 3 Trees
Our pocket forest has grown steadily, albeit slowly, showing excellent survival rates. The strategic selection of shade-tolerant species ensures resilience against aridification and landslide risks. The Kumano Shrine forest has positively impacted the community, providing valuable outdoor experiences for children from Shiroyama Kindergarten, fostering a connection between Nature and land stewardship.
Forest Report: 2022
0 Months
Forest Age
0%
Survival Rate
0cm
Average of Tallest 3 Trees
There is steady growth within this pocket forest. Since the planting site is surrounded by the shrine forest it is shaded and does not receive much direct sunlight. This has meant that the growth rate is slower than with many Miyawaki forests, but the survival rate is excellent. These observations indicate that planting shade-tolerant species was the right selection for the area and that this will be a resilient pocket forest in the future, preventing aridification and the associated risk of landslides in the area.
There are significant positive community impacts of the Kumano Shrine forest too. The children from the nearby Shiroyama Kindergarten, who took part in the planting, are able to interact with the forest regularly. Many of them live in homes with no outdoor space and so having access to this pocket forest is immensely valuable in cultivating their understanding of nature and how we are all stewards of the land upon which we live.
Biodiversity Notes:
“I learned from Akira Miyawaki’s book that trees must be genuine, i.e. native, to fit the vegetation of the area and fully circulate with nature and the future. As an educator at a preschool, I know humans must be genuine and live in harmony with nature as well.”
Akihiko Ishikawa, Chief Priest of Shiroyama Kumano Shrine
Planting: November 2021


























































